Local Service Overview

Get Red Ant Extermination in Richardson, TX

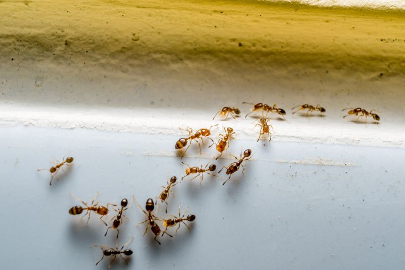
Red Ant Extermination services in Richardson, TX, and nearby areas address pest infestations such as ants, termites, roaches, and rodents for residential and commercial properties.

Richardson, TX

Red ant extermination services are essential for property owners in Richardson, TX seeking to maintain a safe and comfortable environment. These services help eliminate invasive ant populations that can disrupt daily life, damage structures, or compromise hygiene. By addressing ant infestations promptly, property owners can enjoy a more functional space with fewer disruptions, reduced risk of property damage, and enhanced peace of mind.

Choosing professional ant extermination also offers long-term benefits such as improved curb appeal and durability of outdoor areas. Effective treatments can decrease the likelihood of recurring infestations, which in turn reduces ongoing maintenance needs. This creates a more attractive and resilient property that maintains its value and appearance over time.

Get Red Ant Extermination Quotes

  • Red Ant Extermination services are needed when ants invade homes or businesses in Red Ant Extermination service areas.
  • Red Ant Extermination is necessary for property owners experiencing persistent ant colonies that are difficult to eliminate with DIY methods.
  • Red Ant Extermination is recommended when ant activity is observed around residential or commercial structures in nearby cities and towns.
  • Red Ant Extermination services are sought when ant infestations threaten to damage plants, structures, or stored goods.
  • Red Ant Extermination is useful for those seeking professional solutions to prevent recurring ant problems in the Red Ant Extermination service area.

Get Red Ant Extermination Quotes

Red Ant Extermination
Red Ant Extermination
Red Ant Extermination

Red ant extermination services focus on removing red ant colonies from residential, commercial, and outdoor properties. These services typically involve identifying the locations of ant nests, applying targeted treatments to eliminate the colonies, and implementing preventative measures to reduce the likelihood of future infestations. Professionals may use a combination of baits, insecticides, and barrier treatments to ensure thorough removal and long-term control of red ants. The goal is to address the problem efficiently while minimizing disruption to the property and its occupants.

Red ant problems can cause significant nuisance and damage, especially when nests are located near homes, gardens, or food sources. These ants are known for forming large colonies that can quickly spread, leading to increased activity and potential bites. In some cases, red ants may invade indoor spaces, creating uncomfortable and unsanitary conditions. Extermination services help to reduce these issues by targeting the colonies at their source, preventing the ants from establishing permanent nests and spreading further.

Properties that commonly utilize red ant extermination services include single-family homes, apartment complexes, restaurants, and outdoor recreational areas. Homes with gardens or landscaping are often at higher risk, as red ants tend to build nests in soil, mulch, or under rocks. Commercial properties, especially food establishments, seek extermination to maintain hygiene standards and prevent infestations that could impact business operations. Public parks and community spaces may also require treatment to manage ant populations and ensure safety for visitors.

Engaging professional extermination services provides an effective approach to managing red ant infestations. Local service providers are equipped with the knowledge and tools necessary to assess the extent of the problem and recommend appropriate treatments. Contacting these experts can help property owners and managers address red ant issues promptly, reducing the potential for ongoing nuisance, property damage, or health concerns associated with ant activity.

The overview below groups typical Red Ant Extermination projects into broad ranges so you can see how smaller, mid-sized, and larger jobs often compare in Richardson, TX.

In many markets, a large share of routine jobs stays in the lower and middle ranges, while only a smaller percentage of projects moves into the highest bands when the work is more complex or site conditions are harder than average.

Initial Inspection - The cost for a comprehensive pest inspection typically ranges from $100 to $250, depending on the property's size and location. This fee covers identifying the extent of ant infestations and assessing entry points.

Basic Treatment - Standard ant extermination services generally cost between $150 and $300 for a single treatment. Larger or more severe infestations may increase the price to around $400.

Follow-Up Services - Follow-up treatments usually range from $100 to $200 per visit, ensuring the elimination of remaining colonies and preventing future problems. Multiple visits might be recommended for persistent infestations.

Barrier Treatments - Applying a perimeter barrier treatment to prevent ant entry can cost between $200 and $500, depending on property size and treatment complexity. These treatments are often part of ongoing pest management plans.

Actual totals will depend on details like access to the work area, the scope of the project, and the materials selected, so use these as general starting points rather than exact figures.

Get a Red Ant Extermination Quote

Ant Extermination - Local pest control providers offer specialized services to eliminate ant colonies and prevent future infestations around residential and commercial properties.

Termite Control - Service providers in the area provide termite inspection and treatment options to protect structures from potential damage caused by these pests.

Carpenter Ant Removal - Local pros address carpenter ant issues by identifying nesting sites and applying targeted treatments to eliminate colonies.

Pest Inspection Services - Many providers offer thorough inspections to identify ant and other pest presence, helping to inform effective treatment plans.

Wildlife Exclusion - Experts can assist with preventing ant entry points by sealing gaps and implementing exclusion methods around buildings.

Preventive Pest Management - Service providers offer ongoing treatment plans to reduce the likelihood of ant re-infestation in residential and commercial spaces.

Red Ant Extermination

Red ant extermination services provided by local professionals can vary in experience and expertise. Homeowners should seek out contractors with a proven history of handling ant infestations effectively, ideally with several years of local experience. A reputable pro will have a thorough understanding of the specific ant species common in Richardson, TX, and nearby areas, which can influence the approach and methods used. Verifying a contractor’s background through references or prior work can help ensure they have a track record of successful treatments and satisfied clients.

Clear communication and written expectations are essential when working with local pros for red ant extermination. Homeowners are encouraged to discuss the scope of work, the methods that will be used, and any follow-up procedures in advance. A professional who provides detailed, written estimates or treatment plans can help set realistic expectations and prevent misunderstandings. Open dialogue about the process ensures that homeowners understand what to anticipate and can address any concerns before work begins.

Reputable references and reviews can offer insight into a local exterminator’s reliability and quality of service. Homeowners should consider seeking out feedback from previous clients or checking online reviews to gauge customer satisfaction. An established local professional will often have a portfolio of completed projects and positive testimonials that speak to their ability to deliver effective red ant extermination. Additionally, good communication skills and responsiveness from the service provider contribute to a smoother, more transparent experience throughout the treatment process.

Get a Red Ant Extermination Quote

Property owners in Richardson, TX use Red Ant Extermination services for practical projects around their homes and businesses. The sections below highlight everyday jobs and straightforward project options.

Red Ant Extermination
Red Ant Extermination

Red ant extermination services are commonly sought by property owners in Richardson, TX, experiencing persistent ant activity around their homes or commercial properties. These ants can invade living spaces, gardens, and outdoor areas, creating discomfort and potential damage. Local service providers offer targeted treatments to eliminate existing colonies and help prevent future infestations, ensuring a safer and more comfortable environment.

Property owners may also look for red ant extermination when noticing signs of nests in lawns, under decks, or along foundation walls. Infestations can pose challenges for outdoor activities and may lead to increased ant populations if not addressed promptly. Local pest control specialists can assess the severity of the problem and implement effective solutions to manage and control red ant populations in residential and commercial settings.

Get a Red Ant Extermination Quote

What are red ants? Red ants are a common type of stinging insect known for their reddish coloration and aggressive behavior, often nesting outdoors but sometimes invading structures.

How do extermination services work for red ants? Local pest control professionals typically use targeted treatments such as baits, sprays, or dusts to eliminate red ant colonies and prevent future infestations.

Are red ant infestations dangerous? Red ants can deliver painful stings and may cause allergic reactions in some individuals, making professional removal advisable for safety.

How can I prevent red ant problems? Keeping outdoor areas free of debris, sealing entry points, and removing food sources can help reduce the likelihood of red ant invasions.

When should I consider professional red ant extermination? If red ants are nesting near your home or if their presence is persistent despite DIY efforts, contacting local pest control services is recommended.

Red Ant Extermination Services - Local pest control providers offer specialized treatments to eliminate red ants effectively from residential and commercial properties.

Inspection and Identification - Pros can assess infested areas to identify ant nests and determine the best approach for removal.

Preventive Solutions - Service providers can recommend and implement barriers and treatments to help prevent future red ant invasions.

Customized Treatment Plans - Local experts develop tailored strategies to address the specific extent of red ant problems in Richardson and nearby areas.

Red Ant Extermination

Considering Red Ant Extermination for a property in Richardson, TX? The sections above highlight common project types, practical options, and details that often shape the scope of work.

When you are ready, use the quote form to share a few details about your project. Local pros can review the basics and respond with options that match what you have in mind.

Get a Red Ant Extermination Quote

Red Ant Extermination Quotes

Our Trusted Partners
Cantu Pest Control