Local Service Overview

Get Ants Extermination Service in Lancaster, TX

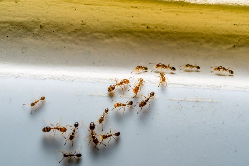
Ants extermination services for property owners in Lancaster, TX, and nearby areas address ant infestations, prevent future invasions, and handle residential and commercial pest control projects.

Lancaster, TX

Ants extermination services are essential for property owners in Lancaster, TX seeking to maintain a comfortable and safe living environment. By effectively controlling ant populations, these services help prevent the intrusion of pests that can cause structural damage, contaminate food supplies, and create unsanitary conditions. Addressing ant issues promptly can also reduce the need for ongoing maintenance, ensuring that homes and businesses remain functional and inviting without the inconvenience of recurring infestations.

Choosing professional ant extermination offers benefits such as enhanced curb appeal and increased durability of property structures. Proper pest management not only preserves the aesthetic value of a property but also contributes to a safer and more enjoyable space for residents and visitors. Engaging experienced service providers ensures that ant problems are addressed thoroughly, promoting long-term peace of mind and a healthier environment in Lancaster, TX.

Get Ants Extermination Service Quotes

  • Ants Extermination - needed when ants invade kitchens or living areas in residential homes across Lancaster, TX and surrounding regions.
  • Ants Extermination - required for businesses experiencing ant infestations that threaten cleanliness and customer comfort in nearby commercial areas.
  • Ants Extermination - necessary when outdoor ant colonies threaten to spread into yards, gardens, or outdoor dining spaces in local neighborhoods.
  • Ants Extermination - sought after when seasonal ant activity increases, prompting homeowners to prevent larger invasions.
  • Ants Extermination - essential for properties with persistent ant problems that do not resolve with basic pest control measures in the Lancaster area.

Get Ants Extermination Service Quotes

Ants Extermination Service
Ants Extermination Service
Ants Extermination Service

Ants extermination services involve identifying and eliminating ant infestations within residential, commercial, or industrial properties. Professionals typically conduct thorough inspections to locate nests and entry points, followed by targeted treatments to eradicate the colonies. These services may include the application of various pest control methods such as baiting, trapping, or chemical treatments designed to effectively reduce or eliminate ant populations. The goal is to create a pest-free environment and prevent future invasions by addressing the root causes of the infestation.

Ant problems can cause significant inconvenience and property damage, especially when colonies establish themselves indoors or in hard-to-reach areas. Common issues include the contamination of food supplies, unsightly trails, and structural damage caused by certain ant species that burrow into wood or insulation. Ant extermination services help resolve these issues by removing the pests and implementing measures to prevent re-infestation. This can improve hygiene, protect property integrity, and restore comfort within affected spaces.

Various types of properties often utilize ant extermination services, including single-family homes, apartment complexes, restaurants, and retail stores. Residential properties are frequently targeted due to the desire to maintain a clean and safe living environment. Commercial properties, especially those involved in food handling or preparation, seek professional help to ensure compliance with health standards and prevent pest-related disruptions. Additionally, property managers and landlords may engage pest control providers to manage ant problems across multiple units or buildings.

Professional ant extermination services are tailored to the specific needs of each property type and infestation severity. Local service providers offer customized treatment plans based on the property’s layout, the ant species involved, and the extent of the problem. Contacting a local pest control professional can help property owners and managers effectively address ant issues, ensuring a cleaner, safer space with minimized risk of future invasions.

The overview below groups typical Ants Extermination Service projects into broad ranges so you can see how smaller, mid-sized, and larger jobs often compare in Lancaster, TX.

In many markets, a large share of routine jobs stays in the lower and middle ranges, while only a smaller percentage of projects moves into the highest bands when the work is more complex or site conditions are harder than average.

Initial Inspection - The cost for an ant inspection typically ranges from $50 to $150, depending on property size and complexity. This fee covers identifying the ant species and infestation extent.

Treatment Services - Ant extermination treatments generally cost between $100 and $300 per service, with larger or heavily infested properties tending toward the higher end.

Barrier Treatments - Applying barrier treatments around the perimeter of a home can range from $150 to $400, depending on property size and treatment scope.

Ongoing Monitoring - Regular monitoring or maintenance plans may cost $50 to $150 per visit, with some providers offering package rates for multiple visits over time.

Actual totals will depend on details like access to the work area, the scope of the project, and the materials selected, so use these as general starting points rather than exact figures.

Get an Ants Extermination Service Quote

Ants Extermination - Local pest control providers offer specialized services to eliminate ant infestations in residential and commercial properties. They utilize targeted methods to address the specific species and severity of the problem.

Ants Prevention - Service providers can implement preventative measures to reduce the likelihood of future ant invasions through barrier treatments and property inspections. These services help maintain a pest-free environment.

Ants Inspection - Professionals conduct thorough inspections to identify ant activity, nesting sites, and entry points, providing essential information for effective treatment plans. Proper assessment is key to successful eradication.

Ants Baiting - Baiting services involve placing attractants to lure ants and eliminate colonies at the source, often used as part of integrated pest management strategies. This approach targets the entire colony rather than just surface ants.

Ants Removal - Local exterminators utilize various removal techniques, including chemical treatments and physical removal, to effectively eliminate ant populations from affected areas. These services aim to restore a pest-free space.

Ants Control Consultation - Pest control experts provide consultation services to advise on the most effective treatment options and prevention strategies tailored to specific property needs. Contacting a professional can help address ant issues efficiently.

Ants Extermination Service

When choosing a professional for ant extermination services, it is important to consider their experience in handling similar pest issues. Homeowners should look for local service providers with a proven track record in effective ant control, as this can indicate familiarity with the common species and effective treatment methods in the Lancaster, TX area. Reputable providers often have a history of successfully resolving ant problems, which can be verified through references or testimonials from previous clients.

Clear communication and well-defined expectations are essential when working with a pest control contractor. Pros should be transparent about the scope of services, the methods used, and any preparations or follow-up steps required. Homeowners are encouraged to ask service providers to outline what the treatment will involve and what results can be reasonably expected, ensuring alignment and understanding before work begins.

Reputation and references are valuable indicators of a local professional’s reliability. Pros with positive reviews or references from past customers tend to demonstrate consistent quality and professionalism. It is advisable for homeowners to seek out service providers with established reputations within the community, as this can provide added confidence in their ability to deliver satisfactory results. Effective communication and a history of reputable service are key factors to consider when comparing local options for ant extermination.

Get an Ants Extermination Service Quote

Property owners in Lancaster, TX use Ants Extermination Service services for practical projects around their homes and businesses. The sections below highlight everyday jobs and straightforward project options.

Ants Extermination Service
Ants Extermination Service

Ants extermination services are commonly sought by property owners in Lancaster, TX when they notice persistent ant activity around their homes or businesses. Common situations include discovering ant trails in kitchens, bathrooms, or along exterior walls, which can indicate an ongoing infestation. Property owners may also seek assistance after noticing ant mounds in yards or evidence of ants invading stored food or other indoor spaces, prompting a need for professional treatment to address the problem effectively.

In addition to visible signs of ants, property owners often look for extermination services to prevent potential damage or contamination. Ants can be a nuisance that disrupts daily activities and may lead to larger infestations if not addressed promptly. Local service providers can help identify the source of the problem and implement targeted solutions to manage and eliminate ant populations, helping to restore comfort and safety to residential and commercial properties.

Get an Ants Extermination Service Quote

How do ant extermination services work? Ant extermination services typically involve inspecting the property to identify ant entry points and nests, then applying targeted treatments to eliminate colonies and prevent future infestations.

Are ant extermination treatments safe for pets and children? Many ant control methods are designed to be safe around pets and children, but it is recommended to discuss safety concerns with the local service provider before treatment.

How long does an ant extermination treatment take? The duration of treatment varies based on the extent of the infestation and the treatment method used; a local professional can provide an estimated timeline during the consultation.

Will the ants come back after treatment? While treatments aim to eliminate existing colonies, ongoing prevention measures may be recommended by local pros to reduce the chance of future ant invasions.

How can I prevent future ant problems? Local ant control experts often suggest sealing entry points, removing food sources, and maintaining clean surroundings to help prevent future infestations.

Ants Extermination Services - Local pest control providers offer targeted treatments to eliminate ant infestations effectively.

Inspection and Assessment - Professionals can evaluate property conditions to identify ant entry points and nesting areas.

Preventive Solutions - Service providers recommend strategies to reduce future ant activity and prevent re-infestation.

Eco-Friendly Treatment Options - Many providers utilize safe and effective methods to control ants without harmful chemicals.

Ants Extermination Service

Considering Ants Extermination Service for a property in Lancaster, TX? The sections above highlight common project types, practical options, and details that often shape the scope of work.

When you are ready, use the quote form to share a few details about your project. Local pros can review the basics and respond with options that match what you have in mind.

Get an Ants Extermination Service Quote

Ants Extermination Quotes

Our Trusted Partners
Cantu Pest Control