Local Service Overview

Get Ants Extermination Service in Arlington, TX

Ants extermination services for property owners in Arlington, TX, and nearby areas address ant infestations, prevent future outbreaks, and handle residential and commercial pest control projects.

Arlington, TX

Ants extermination services in Arlington, TX, are essential for property owners seeking to maintain a comfortable and safe living environment. Ant infestations can disrupt daily routines, cause property damage, and compromise hygiene. Professional exterminators utilize effective methods to eliminate colonies, reducing the risk of recurring issues and enhancing overall safety for residents and visitors alike. Proper treatment helps preserve the functionality of outdoor and indoor spaces, ensuring that properties remain inviting and free from pests that can interfere with daily activities.

Choosing expert ant extermination services offers benefits such as improved curb appeal and reduced maintenance needs. A pest-free property looks well-maintained and can boost neighborhood aesthetics. Additionally, regular professional intervention can help prevent future infestations, saving time and effort on ongoing pest management. Property owners in Arlington can enjoy peace of mind knowing that trained service providers are equipped to address ant problems efficiently, supporting the durability and long-term enjoyment of their homes and businesses.

Get Ants Extermination Service Quotes

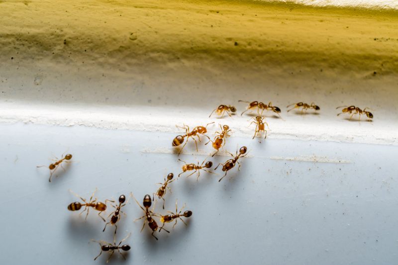
  • Ants Extermination - needed when ants invade kitchens, pantries, or other indoor spaces in Arlington, TX and surrounding areas.
  • Ants Extermination - required if outdoor ant mounds or trails are attracting pests near residential or commercial properties.
  • Ants Extermination - sought after when ants are persistent despite basic cleaning efforts and require professional treatment.
  • Ants Extermination - necessary for properties experiencing recurring ant issues after initial DIY attempts.
  • Ants Extermination - essential when ants threaten to damage plants, structures, or stored goods in nearby yards or storage areas.

Get Ants Extermination Service Quotes

Ants Extermination Service
Ants Extermination Service
Ants Extermination Service

Ants extermination services involve professional treatments designed to eliminate ant infestations from residential and commercial properties. These services typically include identifying the species of ants, locating their nests, and applying targeted solutions to eradicate the colony. Depending on the severity of the infestation, treatments may involve the use of baits, insecticides, or other specialized methods to ensure effective control. The goal is to remove the ants safely and efficiently, reducing the likelihood of future invasions.

Ant problems can cause significant nuisance and property damage, especially when colonies establish themselves indoors or near food sources. Ants can contaminate food supplies, create unsanitary conditions, and in some cases, cause structural damage if they build nests within walls or foundations. Extermination services help address these issues by not only eliminating active colonies but also implementing preventative measures to discourage new infestations. This proactive approach can help maintain a clean and healthy environment for residents and businesses alike.

Various types of properties typically utilize ants extermination services. Residential homes are common clients, especially in kitchens, basements, or outdoor areas where ants tend to forage. Commercial properties, such as restaurants, grocery stores, and food processing facilities, often require regular pest control to meet health and safety standards. Additionally, warehouses, office buildings, and even retail spaces may seek professional assistance to manage ant problems and prevent potential infestations from impacting operations or customer experiences.

Professional ant extermination services are designed to accommodate different property sizes and types, ensuring tailored solutions for each situation. Whether dealing with a small kitchen invasion or a large-scale outdoor colony, local service providers can assess the extent of the problem and recommend appropriate treatment options. These services aim to provide effective and lasting relief from ant infestations, helping property owners maintain pest-free environments and avoid the disruptions caused by these persistent pests.

The overview below groups typical Ants Extermination Service projects into broad ranges so you can see how smaller, mid-sized, and larger jobs often compare in Arlington, TX.

In many markets, a large share of routine jobs stays in the lower and middle ranges, while only a smaller percentage of projects moves into the highest bands when the work is more complex or site conditions are harder than average.

Initial Inspection - The cost for a professional ant inspection typically ranges from $50 to $150, depending on the property's size and complexity. This fee covers identifying ant species and entry points to determine the extent of the infestation.

Basic Treatment - A standard ant extermination service usually costs between $100 and $300. This includes targeted application of ant baits and insecticides to eliminate colonies effectively.

Full Property Treatment - Comprehensive extermination for an entire home or commercial space can range from $200 to $600. This service involves extensive treatment areas and multiple application methods to ensure thorough eradication.

Ongoing Prevention - Follow-up or preventative treatments generally cost between $75 and $200 per visit. These services help maintain ant-free conditions and address new infestations as they arise.

Actual totals will depend on details like access to the work area, the scope of the project, and the materials selected, so use these as general starting points rather than exact figures.

Get an Ants Extermination Service Quote

Ants Extermination services involve professional removal techniques to eliminate ant infestations in residential and commercial properties within Arlington, TX and nearby areas.

Local ant extermination providers use targeted treatments to address common ant species, helping to prevent future invasions.

These services often include inspection, identification of ant species, and customized treatment plans to ensure effective eradication.

Ants Extermination specialists may also advise on preventative measures to reduce the likelihood of recurring ant problems.

Professionals in this field utilize various methods, including baiting and barrier treatments, tailored to the specific needs of each property.

Contacting local ant extermination providers ensures access to experienced services for effective ant control solutions.

Ants Extermination Service

When comparing ant extermination services, experience is an important factor to consider. Local providers often have a deep understanding of common ant issues specific to areas like Arlington, TX, and surrounding communities. They typically bring years of hands-on experience addressing various ant infestations, which can contribute to more effective and tailored solutions. Reviewing the backgrounds of local pros can help homeowners gauge their familiarity with different ant species and infestation scenarios, ensuring the selected service provider has relevant expertise.

Clear written expectations are essential when choosing an ant extermination service. Reputable local providers usually outline the scope of work, treatment methods, and any necessary follow-up procedures in their communications. This transparency helps homeowners understand what to expect from the service, including any preparations needed beforehand and potential post-treatment recommendations. Ensuring that these details are documented can lead to a smoother process and more satisfactory results.

Reputation and communication are key components in selecting a reliable local ant extermination provider. Homeowners can look for references or reviews from previous clients to gauge the quality of service and professionalism. Effective communication-whether through prompt responses, clear explanations, or willingness to address questions-can also indicate a provider’s commitment to customer satisfaction. Since this platform connects users with local pros, it’s recommended to review their reputation and communication practices to find a provider that aligns with personal preferences and needs.

Get an Ants Extermination Service Quote

Property owners in Arlington, TX use Ants Extermination Service services for practical projects around their homes and businesses. The sections below highlight everyday jobs and straightforward project options.

Ants Extermination Service
Ants Extermination Service

Ants extermination services are commonly sought by property owners in Arlington, TX facing persistent ant invasions, especially during warmer months. Ants can quickly become a nuisance when they invade kitchens, pantry areas, or outdoor spaces, making daily activities inconvenient. Local service providers are often contacted to assess the extent of the infestation and implement targeted treatment solutions to eliminate colonies and prevent future occurrences.

Property owners may also seek ants extermination when noticing ant trails or signs of nests around their homes or businesses. These pests can pose hygiene concerns and may attract other unwanted insects. Engaging with local extermination specialists helps address these issues promptly, ensuring a cleaner and more comfortable living or working environment.

Get an Ants Extermination Service Quote

How do ant extermination services work? Ant extermination services typically involve inspecting the property to identify ant activity and entry points, then applying targeted treatments to eliminate colonies and prevent future infestations.

Are ant extermination treatments safe for pets and children? Many extermination methods are designed to be safe around pets and children, but it is recommended to discuss safety concerns with the local service provider before treatment.

How long does an ant extermination treatment take? The duration of treatment varies depending on the extent of the infestation and the treatment method used, but most services are completed within a few hours.

Will I need multiple visits for ant control? Some ant infestations may require multiple treatments or follow-up visits to ensure complete eradication and to address any new activity.

How can I prevent future ant problems? Local pros often recommend sealing entry points, removing food and water sources, and maintaining cleanliness to help prevent future ant issues.

Ants Extermination Services - Local pest control providers offer targeted treatments to eliminate ant colonies and prevent future infestations.

Inspection and Identification - Professionals assess property conditions to identify ant species and determine the most effective eradication methods.

Barrier Treatments - Service providers apply perimeter and interior treatments to create a protective barrier against ants entering the property.

Ongoing Monitoring and Prevention - Experts recommend maintenance plans to monitor for ant activity and implement preventative measures over time.

Ants Extermination Service

Considering Ants Extermination Service for a property in Arlington, TX? The sections above highlight common project types, practical options, and details that often shape the scope of work.

When you are ready, use the quote form to share a few details about your project. Local pros can review the basics and respond with options that match what you have in mind.

Get an Ants Extermination Service Quote

Ants Extermination Quotes

Our Trusted Partners
Cantu Pest Control