Local Service Overview

Get Black Ant Extermination in Desoto, TX

Black Ant Extermination services for property owners in Desoto, TX, and nearby areas address ant infestations, prevent future invasions, and treat affected structures.

Desoto, TX

Black ant extermination services are often sought by property owners in Desoto, TX to maintain a comfortable and safe living environment. Ant infestations can quickly become a nuisance, affecting the functionality of indoor spaces and creating concerns about hygiene and property damage. Professional extermination helps to eliminate existing colonies and prevent future invasions, promoting peace of mind and a more enjoyable home or business setting.

Choosing expert pest control providers offers several benefits, including enhanced durability of property structures and reduced ongoing maintenance needs. Effective ant removal can improve curb appeal by preventing unsightly trails and damage, while also contributing to overall safety by reducing the risk of pests that may carry diseases. Property owners often look for reliable solutions that support a clean, safe, and well-maintained environment.

Get Black Ant Extermination Quotes

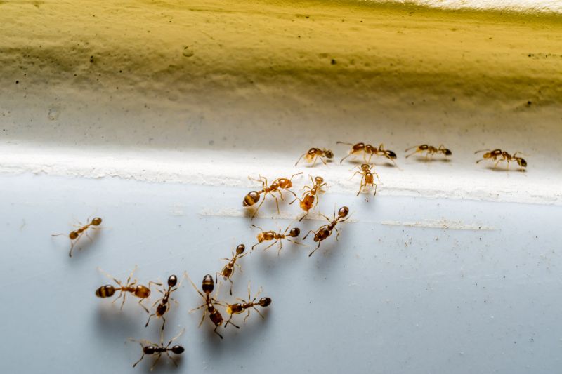
  • Black Ant Extermination - Needed when black ants invade kitchens, pantries, or outdoor areas around Desoto, TX and neighboring communities.
  • Black Ant Extermination - Required if black ants form large colonies inside walls or beneath the foundation of residential properties.
  • Black Ant Extermination - Sought when black ants are persistent despite regular cleaning and natural deterrents.
  • Black Ant Extermination - Essential for controlling black ant populations in commercial spaces to prevent contamination and damage.
  • Black Ant Extermination - Necessary when black ants are seen foraging in lawns, gardens, or around outdoor patios in nearby areas.

Get Black Ant Extermination Quotes

Black Ant Extermination
Black Ant Extermination
Black Ant Extermination

Black ant extermination services are designed to eliminate infestations of black ants from residential and commercial properties. These services typically involve thorough inspections to identify the extent of the ant problem and locate their nests and entry points. Treatment methods may include the application of targeted insecticides, baiting systems, and other pest control solutions aimed at eradicating the colonies and preventing future invasions. The goal is to reduce the presence of black ants and restore a pest-free environment.

Black ant problems can cause significant nuisances, especially when colonies establish themselves indoors or in areas with food and moisture sources. These ants can contaminate food supplies, create unsightly trails, and sometimes cause structural damage by nesting in wall voids or beneath flooring. Effective extermination services help address these issues by removing the pests and implementing preventative measures to discourage re-infestation, contributing to a cleaner and more comfortable living or working space.

Various property types utilize black ant extermination services, including single-family homes, apartment complexes, restaurants, and retail stores. Homes often require treatment in kitchens, basements, and outdoor areas where ants tend to forage. Commercial properties such as restaurants and grocery stores seek pest control to maintain hygiene standards and protect food supplies. Additionally, office buildings and warehouses may also request extermination services to manage ant populations that could disrupt operations or compromise sanitation.

Professional black ant extermination services are essential for effectively managing infestations that may be difficult to control with DIY methods. Local pest control providers offer tailored solutions based on the specific property and severity of the problem. Contacting experienced contractors ensures that appropriate treatment strategies are employed to eliminate black ants and help maintain a pest-free environment in both residential and commercial settings.

The overview below groups typical Black Ant Extermination projects into broad ranges so you can see how smaller, mid-sized, and larger jobs often compare in Desoto, TX.

In many markets, a large share of routine jobs stays in the lower and middle ranges, while only a smaller percentage of projects moves into the highest bands when the work is more complex or site conditions are harder than average.

Initial Treatment Cost - Black ant extermination services typically range from $150 to $300 for a single treatment in Desoto, TX. The price depends on the size of the property and the severity of the infestation.

Inspection and Assessment Fees - Some service providers charge between $50 and $100 for an inspection to identify black ant nesting sites and infestation levels. This fee may be waived if treatment is scheduled afterward.

Ongoing Maintenance Costs - Follow-up treatments or maintenance plans can cost between $100 and $250 per visit, often recommended every few months to prevent re-infestation.

Comprehensive Pest Control Packages - For extensive services covering multiple pests, prices may range from $300 to $600, which include multiple visits and integrated treatment methods.

Actual totals will depend on details like access to the work area, the scope of the project, and the materials selected, so use these as general starting points rather than exact figures.

Get a Black Ant Extermination Quote

Ant Extermination services help identify and eliminate black ant colonies within residential or commercial properties, preventing future infestations.

Infestation Removal providers offer targeted solutions to remove existing black ant populations and reduce the risk of re-infestation in local areas.

Pre-Construction Treatments services are available to apply barrier treatments around new structures to prevent black ant entry from the outset.

Inspection Services professionals assess properties to locate black ant nests and determine the extent of an infestation for effective treatment planning.

Barrier Treatments involve applying residual insecticides around the perimeter of properties to deter black ants from entering indoor spaces.

Preventive Consulting experts provide advice on reducing attractants and maintaining environments less conducive to black ant activity.

Black Ant Extermination

When selecting professionals for black ant extermination services, it’s important to consider their experience handling ant infestations similar to those in Desoto, TX. Reputable local providers often have extensive backgrounds in pest control, with a focus on identifying ant species and implementing effective treatment strategies. Homeowners can inquire about the duration of a pest control provider’s experience to gauge their familiarity with local ant behavior and the most successful methods for eradication.

Clear communication about service expectations is essential when working with pest control specialists. Reliable providers typically offer detailed explanations of their treatment approaches, what homeowners can expect during and after the service, and any necessary follow-up measures. Understanding these written expectations helps ensure transparency and alignment between the homeowner and the service provider, reducing potential misunderstandings.

References and reputation play a key role in evaluating local pest control options. Homeowners are encouraged to seek out reputable providers with positive reviews or references from previous clients in the Desoto area. Such feedback can provide insights into the professionalism, effectiveness, and reliability of the service providers. While the site introduces local options, it is important to contact the individual pros directly to confirm their experience, reputation, and communication practices before making a selection.

Get a Black Ant Extermination Quote

Property owners in Desoto, TX use Black Ant Extermination services for practical projects around their homes and businesses. The sections below highlight everyday jobs and straightforward project options.

Black Ant Extermination
Black Ant Extermination

Black ant extermination services are commonly sought by property owners in Desoto, TX, facing persistent ant infestations. These insects often invade homes and businesses, especially during warmer months, seeking food and shelter. Property owners may look for professional assistance to effectively eliminate the colonies and prevent future invasions, ensuring a comfortable and pest-free environment.

In addition to residential spaces, commercial properties in Desoto may require black ant extermination to maintain a clean and safe environment for employees and visitors. Ant problems can also impact food establishments and retail businesses, prompting owners to seek reliable local service providers for targeted treatments. Connecting with experienced exterminators can help address these common pest concerns efficiently.

Get a Black Ant Extermination Quote

What are signs of an ant infestation? Signs include visible ant trails, small piles of dirt or debris near entry points, and tiny ant colonies in walls or around windows.

How do extermination services eliminate black ants? Local service providers typically use targeted treatments like baiting and residual sprays to remove black ant populations effectively.

Are black ants dangerous to humans or pets? Black ants are generally not harmful, but they can contaminate food and surfaces; professional extermination can help prevent infestations.

How long does black ant extermination usually take? The duration varies depending on the extent of the infestation, but most treatments can be completed within a few hours.

What steps can be taken to prevent future black ant problems? Eliminating food sources, sealing entry points, and maintaining cleanliness are common prevention methods recommended by local pros.

Black Ant Extermination Techniques - Local service providers can recommend effective methods for eliminating black ants from residential and commercial properties.

Inspection and Identification - Pros can assess infested areas to identify ant entry points and nesting sites for targeted treatment.

Preventative Measures - Experts can advise on sanitation and structural adjustments to reduce future ant invasions.

Ongoing Monitoring and Maintenance - Service providers offer follow-up options to ensure black ant problems are fully resolved.

Black Ant Extermination

Considering Black Ant Extermination for a property in Desoto, TX? The sections above highlight common project types, practical options, and details that often shape the scope of work.

When you are ready, use the quote form to share a few details about your project. Local pros can review the basics and respond with options that match what you have in mind.

Get a Black Ant Extermination Quote

Black Ant Extermination Quotes

Our Trusted Partners
Cantu Pest Control