Local Service Overview

Get Ants Extermination Service in Grand Prairie, TX

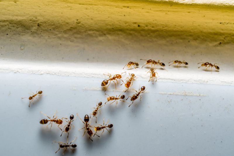
Ants extermination services for property owners in Grand Prairie, TX, and nearby areas address ant infestations, prevent future invasions, and handle residential and commercial pest control projects.

Grand Prairie, TX

Ants extermination services are essential for property owners in Grand Prairie, TX, seeking to maintain a comfortable and safe living or working environment. Effective pest control helps prevent ant infestations that can invade homes and businesses, reducing the risk of property damage and contamination. By addressing ant problems promptly, property owners can enjoy a more functional space with fewer disruptions, while also enhancing curb appeal by keeping exteriors tidy and free of unsightly nests or trails.

Choosing professional ant extermination services offers several benefits, including longer-lasting results and reduced maintenance needs. Proper treatment not only eliminates current colonies but also helps prevent future invasions, ensuring the durability of structures and landscaping. This proactive approach contributes to a more enjoyable and worry-free property, allowing residents and business owners to focus on their daily routines without concern over persistent pest issues.

Get Ants Extermination Service Quotes

  • Ants Extermination - Needed when ants invade kitchens, bathrooms, or other indoor spaces in residential or commercial properties.
  • Ants Extermination - Required when ant colonies are discovered outdoors around yards, gardens, or building foundations.
  • Ants Extermination - Sought after when persistent ant problems disrupt daily activities or compromise food storage.
  • Ants Extermination - Necessary in areas with frequent ant activity during warmer months in cities like Grand Prairie, TX.
  • Ants Extermination - Important when multiple ant species threaten the comfort and hygiene of a property.

Get Ants Extermination Service Quotes

Ants Extermination Service
Ants Extermination Service
Ants Extermination Service

Ants extermination services involve identifying and eliminating ant colonies that have invaded residential, commercial, or industrial properties. Professionals typically conduct a thorough inspection to locate ant nests and entry points, then apply targeted treatments such as baits, sprays, or dusts to eradicate the pests. The goal is to reduce ant populations and prevent future infestations, ensuring the property remains free of these insects. The process may also include advice on exclusion techniques and sanitation practices to minimize attractants and entryways for ants.

These services address common problems associated with ant infestations, including property damage, contamination of food supplies, and general nuisance. Certain ant species, like carpenter ants, can cause structural damage by hollowing out wood, while others, such as fire ants, pose health risks through painful stings. Ants can also be persistent, often reappearing even after initial treatments, which makes professional intervention essential for effective and long-lasting control.

Properties that typically utilize ants extermination services include single-family homes, apartment complexes, restaurants, grocery stores, and warehouses. Residential properties often seek assistance to protect food storage areas and prevent ants from establishing colonies indoors. Commercial establishments, especially those involved in food service or storage, rely on these services to maintain hygiene standards and comply with health regulations. Additionally, property managers and business owners in areas prone to ant activity frequently contact professionals to manage and prevent infestations.

Engaging with local pest control providers for ants extermination can help property owners address existing issues and implement preventative measures. These professionals use proven methods to target specific ant species and adapt treatments to the unique needs of each property type. Regular inspections and treatments can be part of ongoing pest management plans, helping to maintain a pest-free environment. Contacting a local provider ensures that specialized expertise is available to handle the complexities of ant control in various property settings.

The overview below groups typical Ants Extermination Service projects into broad ranges so you can see how smaller, mid-sized, and larger jobs often compare in Grand Prairie, TX.

In many markets, a large share of routine jobs stays in the lower and middle ranges, while only a smaller percentage of projects moves into the highest bands when the work is more complex or site conditions are harder than average.

Initial Inspection - The cost for an ant inspection typically ranges from $50 to $150, depending on the property size and location. This fee often covers a thorough assessment to identify ant activity and entry points.

Per-Visit Treatment - Single-visit ant extermination services generally cost between $100 and $300. The price varies based on the severity of the infestation and the treatment method used.

Ongoing Pest Management - Monthly ant control plans can range from $40 to $80 per visit, with contracts often lasting several months. These plans provide regular treatments to prevent future ant problems.

Whole-Property Extermination - Complete property treatments for ant infestations typically cost between $200 and $600, depending on the property's size and complexity of the job. This service aims to eliminate ants throughout the entire area.

Actual totals will depend on details like access to the work area, the scope of the project, and the materials selected, so use these as general starting points rather than exact figures.

Get an Ants Extermination Service Quote

Ants Extermination services connect property owners with local pest control professionals experienced in eliminating ant infestations. These experts assess the extent of the problem and implement targeted treatment solutions.

Ants Prevention specialists work with homeowners and businesses to develop strategies that reduce the likelihood of future ant invasions through structural and environmental modifications. They provide advice tailored to local conditions.

Residential Ants Control providers focus on eliminating ant colonies within homes, ensuring safe and effective treatment methods suitable for indoor environments. They address common household ant issues promptly.

Commercial Ants Management services assist businesses in maintaining pest-free premises by implementing comprehensive ant control plans that minimize disruption to daily operations. Local pros adapt solutions for various commercial settings.

Outdoor Ants Treatment professionals target ant nests and trails outside residential and commercial properties to prevent ants from entering indoor spaces. They utilize treatments designed for outdoor environments.

Emergency Ants Removal services are available for urgent situations where ant infestations pose immediate concerns, providing quick response options through local pest control providers.

Ants Extermination Service

When comparing ant extermination services, experience is a key factor to consider. Local pros with a proven track record in ant control typically have extensive knowledge of common ant species and effective treatment methods specific to the Grand Prairie, TX area. It’s beneficial to review how long a service provider has been operating in the community and whether they have handled cases similar to your situation. This background can provide insight into their familiarity with local ant behaviors and the most suitable approaches for effective elimination.

Clear, written expectations are essential when engaging with ant extermination professionals. Reputable local service providers often outline their treatment plans, what homeowners can expect during and after the service, and any necessary preparations or follow-up actions. Having these details in writing helps ensure transparency and aligns the homeowner’s understanding with the scope of work. It also provides a reference point for any questions or concerns that may arise throughout the process.

Reputable references and effective communication are indicators of a trusted local pros. Pros with positive references from past clients in the area can offer reassurance about their reliability and quality of service. Additionally, transparent communication-such as prompt responses to inquiries and willingness to provide detailed information-can help homeowners feel confident in their choice of provider. While the information below introduces local options, it’s important to contact individual service providers directly to verify their reputation and discuss specific needs, ensuring a smooth and informed experience.

Get an Ants Extermination Service Quote

Property owners in Grand Prairie, TX use Ants Extermination Service services for practical projects around their homes and businesses. The sections below highlight everyday jobs and straightforward project options.

Ants Extermination Service
Ants Extermination Service

Ants extermination services are commonly sought after by property owners in Grand Prairie, TX, who notice ant activity around their homes or businesses. Common situations include discovering ant trails in kitchens, bathrooms, or outdoor areas, which can lead to concerns about infestation and potential property damage. Property owners often look for professional assistance to effectively eliminate the ants and prevent future invasions, especially in cases where DIY methods have proven ineffective.

In addition to visible ant problems, property owners may seek extermination services to address recurring ant issues that disrupt daily routines or compromise cleanliness. Ants can be attracted to food sources and moisture, making them a persistent nuisance in residential and commercial spaces. Local service providers offer solutions tailored to the specific needs of properties in Grand Prairie, helping to restore comfort and maintain a pest-free environment.

Get an Ants Extermination Service Quote

How do ant extermination services work? Ant extermination services typically involve inspecting the property to identify ant colonies and entry points, then applying targeted treatments to eliminate existing ants and prevent future infestations.

Are chemical treatments safe for my family and pets? Many extermination providers use treatments that are safe when applied correctly; it’s recommended to discuss safety concerns with the local pros during contact.

How long does an ant extermination treatment take? The duration of treatment varies based on the extent of the infestation, but most services aim to quickly reduce ant activity and prevent re-infestation.

Will I need multiple treatments for ants? Some ant species may require more than one treatment to fully eliminate the colony and ensure lasting control, depending on the severity of the problem.

How can I prevent future ant problems? Local pest control providers often recommend ongoing sanitation practices and sealing entry points to help prevent future ant invasions.

Ants Extermination Solutions - Local service providers offer targeted treatments to eliminate ant colonies and prevent future infestations.

Inspection and Identification - Professionals can assess property conditions to identify ant species and determine the most effective extermination methods.

Preventive Strategies - Service providers recommend and implement measures to reduce attractants and seal entry points, minimizing ant re-infestation risks.

Ongoing Monitoring and Maintenance - Regular inspections help ensure ant problems are managed effectively and provide peace of mind for homeowners.

Ants Extermination Service

Considering Ants Extermination Service for a property in Grand Prairie, TX? The sections above highlight common project types, practical options, and details that often shape the scope of work.

When you are ready, use the quote form to share a few details about your project. Local pros can review the basics and respond with options that match what you have in mind.

Get an Ants Extermination Service Quote

Ants Extermination Quotes

Our Trusted Partners
Cantu Pest Control