Local Service Overview

Get Black Ant Extermination in Irving, TX

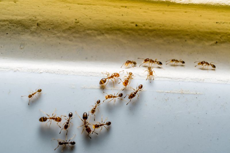
Black Ant Extermination services for Irving, TX, and nearby areas address ant infestations, prevent future invasions, and typically involve targeted treatments for residential and commercial properties.

Irving, TX

Black ant extermination services are a practical solution for property owners in Irving, TX seeking to maintain a comfortable and functional living or working environment. Ant infestations can disrupt daily routines, damage structures, and compromise cleanliness, making prompt and effective removal essential. Professional extermination helps create a safer space by reducing pest activity, which can contribute to a more inviting and secure property for residents, employees, or visitors.

Choosing expert ant control services offers several benefits, including enhanced durability of the property’s structure and reduced ongoing maintenance needs. Effective extermination can improve curb appeal by eliminating unsightly nests and trails, while also preventing future invasions. This proactive approach supports long-term comfort, safety, and the overall integrity of the property, making it a valuable investment for Irving property owners.

Get Black Ant Extermination Quotes

  • Black Ant Extermination - needed when black ants invade kitchens, pantries, or outdoor areas in residential or commercial properties.
  • Black Ant Extermination - required when black ant colonies establish themselves in lawns, gardens, or around building foundations.
  • Black Ant Extermination - necessary if black ants are entering homes through cracks, crevices, or doorways in Irving, TX and nearby regions.
  • Black Ant Extermination - sought when black ant activity is observed around outdoor dining areas or patios.
  • Black Ant Extermination - needed for ongoing prevention in areas prone to ant infestations or after initial treatment efforts.

Get Black Ant Extermination Quotes

Black Ant Extermination
Black Ant Extermination
Black Ant Extermination

Black ant extermination services focus on identifying and eliminating infestations of black ants within residential and commercial properties. These services typically involve thorough inspections to locate ant colonies and entry points, followed by targeted treatments using specialized insecticides. The goal is to reduce or remove black ant populations effectively, preventing them from causing further issues. Service providers may also offer advice on preventing future invasions through sanitation tips and structural repairs to block access points.

Black ant problems can be particularly troublesome in homes, restaurants, and office buildings, where their presence can lead to contamination of food supplies and unsanitary conditions. Black ants often invade kitchens, pantries, and storage areas in search of food, creating nuisance and potential health concerns. Exterminators work to address these issues by treating affected areas, removing nests, and implementing strategies to deter re-infestation. Proper treatment can help restore a clean and pest-free environment for property occupants.

Various types of properties utilize black ant extermination services, including single-family homes, apartment complexes, restaurants, and retail establishments. Residential properties often seek these services to maintain hygiene and prevent property damage caused by ant activity. Commercial properties, especially those involved in food handling or storage, prioritize pest management to meet health standards and protect their reputation. Property managers and business owners frequently rely on local pest control providers to address ongoing ant issues and keep their spaces pest-free.

Professional extermination services aim to deliver a comprehensive approach to managing black ant infestations, emphasizing effective treatment and prevention. Local service providers are equipped with the knowledge and tools necessary to handle different levels of infestation across various property types. By connecting with experienced pest control specialists, property owners can access tailored solutions designed to address their specific needs and maintain a pest-free environment.

The overview below groups typical Black Ant Extermination projects into broad ranges so you can see how smaller, mid-sized, and larger jobs often compare in Irving, TX.

In many markets, a large share of routine jobs stays in the lower and middle ranges, while only a smaller percentage of projects moves into the highest bands when the work is more complex or site conditions are harder than average.

Initial Inspection - The cost for a professional black ant inspection typically ranges from $50 to $150. This fee often covers a thorough assessment of the affected areas to determine the extent of the infestation.

Basic Treatment - Basic extermination services usually cost between $150 and $300 for a standard black ant treatment in a residential property. Prices vary based on the size of the property and the severity of the problem.

Comprehensive Service - For larger or more severe infestations, comprehensive treatment plans may range from $300 to $600. These often include multiple visits and targeted applications to eliminate black ants effectively.

Ongoing Maintenance - Ongoing or preventative services can cost around $100 to $250 per visit. Regular inspections and treatments help maintain ant-free conditions over time.

Actual totals will depend on details like access to the work area, the scope of the project, and the materials selected, so use these as general starting points rather than exact figures.

Get a Black Ant Extermination Quote

Black Ant Extermination services involve professionals specializing in identifying and eliminating black ant infestations in residential and commercial properties. Local providers use targeted methods to remove ants and prevent future invasions.

Black Ant Control projects focus on implementing effective treatment plans to reduce black ant populations, often including barrier treatments and baiting strategies. Service providers tailor solutions to the specific needs of each property.

Black Ant Prevention services aim to address conditions attracting black ants, such as food sources and entry points, helping to minimize the risk of future infestations. Local experts offer advice and treatment options to maintain a pest-free environment.

Black Ant Inspection services involve thorough assessments to locate ant colonies and identify entry points, providing a clear understanding of the extent of the problem. Professionals recommend appropriate treatment plans based on their findings.

Black Ant Barrier Treatments are applied by local providers to create a protective zone around properties, preventing black ants from entering. These treatments are designed to be long-lasting and effective.

Black Ant Baiting Services involve placing bait stations strategically to attract and eliminate black ants at their source. Experts monitor and adjust treatments to ensure comprehensive control.

Black Ant Extermination

When selecting a professional for black ant extermination, it’s important to consider their experience with similar pest control services. Homeowners should look for local providers who have a proven track record in handling ant infestations, particularly those familiar with the specific challenges posed by black ants in the Irving, TX area. An experienced contractor can often provide more reliable solutions based on their familiarity with local environments and common pest behaviors, helping ensure the issue is addressed effectively.

Clear communication and well-defined written expectations are essential when working with a pest control service. Homeowners are encouraged to seek providers who offer detailed descriptions of their treatment methods, what clients can expect during and after the service, and any necessary follow-up steps. Transparent communication helps establish trust and provides clarity, making it easier to coordinate and ensure that the pest management process aligns with the homeowner’s needs.

Reputable references and reviews can serve as valuable indicators of a local pest control professional’s reliability and quality of service. Homeowners should inquire about references or look for testimonials from past clients in the Irving area. Additionally, verifying a provider’s reputation through local review platforms can help confirm their track record. Effective communication and responsiveness from the contractor are also key factors, ensuring that questions are addressed promptly and expectations are managed throughout the service process.

Get a Black Ant Extermination Quote

Property owners in Irving, TX use Black Ant Extermination services for practical projects around their homes and businesses. The sections below highlight everyday jobs and straightforward project options.

Black Ant Extermination
Black Ant Extermination

Black ant extermination services are often sought by property owners in Irving, TX, dealing with persistent ant activity around their homes or commercial buildings. Common situations include noticing large ant colonies in kitchens, basements, or outdoor areas, which can lead to concerns about potential damage or hygiene issues. Local service providers can help identify the source of the infestation and implement targeted treatments to reduce ant populations effectively.

Property owners may also seek black ant extermination when experiencing recurring ant problems despite previous attempts at control. In some cases, the presence of black ants indicates an underlying issue, such as access points or nearby nesting sites, that need addressing. Connecting with experienced local contractors can assist in developing a comprehensive plan to manage and prevent future ant invasions.

Get a Black Ant Extermination Quote

Why are black ants attracted to my home? Black ants are drawn to food sources, water, and shelter, which makes homes with accessible crumbs, spills, or moisture more attractive to them.

How do pest control professionals eliminate black ant infestations? Local service providers typically use targeted treatments such as baits, insecticides, and exclusion methods to effectively manage black ant problems.

Are black ants dangerous to humans or pets? Black ants are generally not harmful, but their presence can be a nuisance and may contaminate food; professional extermination helps reduce these issues.

What steps can I take to prevent black ants from returning? Eliminating food and water sources, sealing entry points, and maintaining cleanliness can help prevent future ant problems.

When should I consider professional black ant extermination? Professional services are recommended when ant activity is persistent, widespread, or difficult to control with DIY methods.

Black Ant Extermination Solutions - Local service providers offer specialized treatments to eliminate black ants from residential and commercial properties.

Inspection and Identification - Professionals assess the extent of ant infestations and identify entry points to develop effective removal strategies.

Preventative Treatments - Experts apply targeted barriers and treatments to reduce the likelihood of future black ant invasions.

Ongoing Monitoring Services - Service providers offer follow-up inspections to ensure black ant issues are fully resolved and do not return.

Black Ant Extermination

Considering Black Ant Extermination for a property in Irving, TX? The sections above highlight common project types, practical options, and details that often shape the scope of work.

When you are ready, use the quote form to share a few details about your project. Local pros can review the basics and respond with options that match what you have in mind.

Get a Black Ant Extermination Quote

Black Ant Extermination Quotes

Our Trusted Partners
Cantu Pest Control