Local Service Overview

Get Ants Extermination Service in Desoto, TX

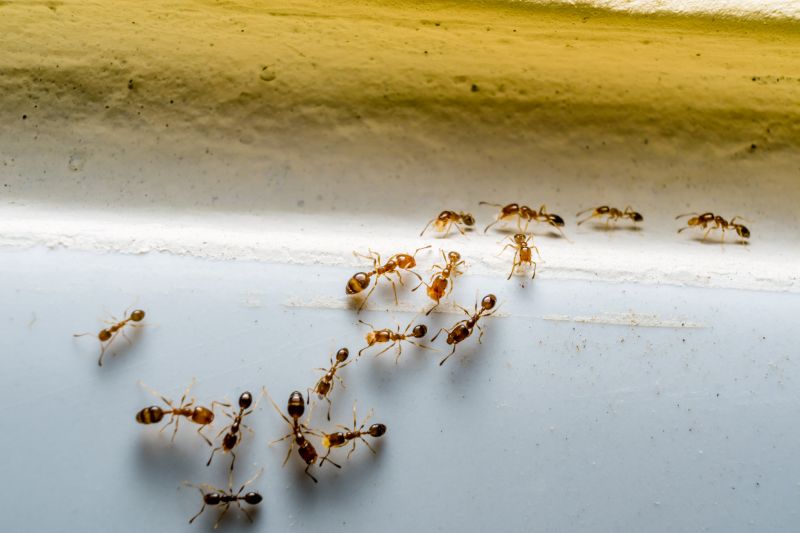
Ants extermination services for property owners in Desoto, TX, address ant infestations, prevent future outbreaks, and handle residential and commercial ant control projects.

Desoto, TX

Ants extermination services are essential for property owners in Desoto, TX seeking to maintain a comfortable and safe living environment. Effective pest control helps prevent ant infestations that can disrupt daily routines, damage property structures, and compromise hygiene. By addressing ant issues promptly, property owners can enjoy a more functional space, free from the nuisance and potential health concerns associated with these pests.

Choosing professional extermination services offers benefits such as enhanced durability of pest management solutions and reduced ongoing maintenance needs. Proper treatment not only eliminates current ant colonies but also helps prevent future invasions, preserving curb appeal and maintaining the property's overall condition. Engaging experienced service providers ensures the work is thorough and tailored to the specific needs of homes and businesses in the area.

Get Ants Extermination Service Quotes

  • Ants Extermination - Needed when ants invade kitchens, pantries, or living areas in residential properties.
  • Ants Extermination - Required for businesses experiencing ant problems disrupting operations or customer areas.
  • Ants Extermination - Sought when ants form large colonies outdoors near homes or commercial buildings in the area.
  • Ants Extermination - Necessary when ant trails are visible across lawns, driveways, or pathways causing nuisance.
  • Ants Extermination - Important for preventing future infestations in areas prone to ant activity during warmer months.

Get Ants Extermination Service Quotes

Ants Extermination Service
Ants Extermination Service
Ants Extermination Service

Ants extermination services involve identifying and eliminating ant infestations within residential, commercial, or industrial properties. Professionals typically conduct thorough inspections to determine the species of ants and locate their nests and trails. Treatment methods may include the application of targeted baits, insecticidal sprays, or dusts designed to eradicate the colonies at their source. The goal of these services is to reduce ant populations effectively and prevent future invasions, ensuring a pest-free environment for property occupants.

Ant problems can cause significant inconvenience and property damage if left unaddressed. Certain ant species, such as carpenter ants, can compromise structural integrity by hollowing out wood. Others, like fire ants, pose health risks through painful stings and allergic reactions. Additionally, ants often seek out food sources in kitchens, pantries, and trash areas, leading to contamination and hygiene concerns. Professional extermination services help resolve these issues by removing the pests and implementing preventative measures to keep properties ant-free.

Properties that frequently utilize ant extermination services include homes, apartment complexes, restaurants, and retail establishments. Residential properties often seek treatment to protect food storage areas and prevent damage to wooden structures. Commercial properties, especially food service providers, prioritize pest control to maintain hygiene standards and comply with health regulations. Additionally, office buildings and warehouses may require ant control to safeguard inventory and ensure a comfortable working environment. These services are adaptable to various property types where ant activity has been observed or is likely to occur.

Engaging with local pest control professionals ensures that ant extermination services are tailored to the specific needs of each property. Service providers utilize proven techniques and products designed for effective control and long-term prevention. By addressing ant infestations promptly, property owners and managers can maintain a clean, safe, and pest-free environment. Contacting local experts is a practical step toward managing ant issues and safeguarding the integrity of residential and commercial spaces.

The overview below groups typical Ants Extermination Service projects into broad ranges so you can see how smaller, mid-sized, and larger jobs often compare in Desoto, TX.

In many markets, a large share of routine jobs stays in the lower and middle ranges, while only a smaller percentage of projects moves into the highest bands when the work is more complex or site conditions are harder than average.

Initial Inspection - The cost for an ant inspection typically ranges from $50 to $150, depending on property size and complexity. This fee often covers identifying the ant species and infestation severity.

One-Time Treatment - A single treatment for ant extermination usually costs between $100 and $300. Prices vary based on the extent of the infestation and the treatment method used.

Multiple Treatments - For ongoing or severe ant problems, multiple treatment sessions may be necessary, with total costs ranging from $200 to $600. The number of visits and treatment types influence the overall expense.

Preventive Services - Preventive ant control programs generally cost between $150 and $400 annually. These services often include regular inspections and barrier treatments to reduce future infestations.

Actual totals will depend on details like access to the work area, the scope of the project, and the materials selected, so use these as general starting points rather than exact figures.

Get an Ants Extermination Service Quote

Ants Extermination services involve professionals who specialize in identifying and eliminating ant infestations in residential and commercial properties in Desoto, TX and nearby areas.

Local pros offering ant extermination services utilize various methods to effectively remove ants and prevent future invasions.

Ants Extermination services are suitable for properties experiencing persistent ant problems or sudden infestations that require prompt attention.

Service providers can assess the extent of ant activity and recommend targeted treatments to address specific species and infestation levels.

Professionals in ant extermination may also advise on preventative measures to reduce the likelihood of future ant issues.

Contacting local ant extermination specialists can help property owners find effective solutions tailored to their specific needs.

Ants Extermination Service

When selecting a local pest control professional for ant extermination services, experience is a key factor to consider. Homeowners should look for providers with a proven track record in handling ant infestations within the community, as familiarity with local ant species and common nesting sites can enhance the effectiveness of treatment. Reputable service providers often highlight their years of experience and successful case histories, which can serve as indicators of their capability to address specific pest challenges efficiently.

Clear communication and well-defined expectations are essential when working with a pest control contractor. Homeowners are encouraged to seek providers who are transparent about their service processes, the types of treatments used, and any necessary follow-up actions. A professional who communicates openly can help ensure that homeowners understand what to expect throughout the extermination process, reducing confusion and fostering a positive working relationship.

References and reputation are valuable tools for evaluating local pros. Homeowners can inquire about references from previous clients or seek out reviews and testimonials to gauge the quality of service provided. Reputable service providers often have a history of satisfied customers and positive feedback, which can help build confidence in their ability to deliver effective ant control solutions. Since the site introduces local options rather than performing the work directly, it is important for homeowners to verify the credibility and reliability of the chosen professionals before proceeding.

Get an Ants Extermination Service Quote

Property owners in Desoto, TX use Ants Extermination Service services for practical projects around their homes and businesses. The sections below highlight everyday jobs and straightforward project options.

Ants Extermination Service
Ants Extermination Service

Ants extermination services are often sought by property owners in Desoto, TX, facing persistent ant invasions in residential or commercial spaces. Common situations include discovering large numbers of ants in kitchens, bathrooms, or outdoor areas, especially during warmer months when ant activity tends to increase. Property owners may look for professional assistance to effectively eliminate the colony and prevent future infestations that can disrupt daily routines or compromise cleanliness.

Additionally, those experiencing recurring ant problems despite previous attempts at control may turn to local service providers for more comprehensive solutions. Ants can be attracted by food sources, moisture, or structural gaps, making professional extermination a practical choice for addressing the root causes and safeguarding the property. Connecting with experienced contractors can help property owners manage ant issues efficiently and maintain a pest-free environment.

Get an Ants Extermination Service Quote

How do ant extermination services work? Ant extermination services typically involve inspecting the property, identifying ant colonies and entry points, and applying targeted treatments to eliminate the ants and prevent future infestations.

Are ant extermination treatments safe for pets and children? Many extermination methods are designed to be safe for homes, but it’s recommended to consult with a local service provider about specific treatments and safety precautions.

How long does an ant extermination treatment usually last? The duration of effectiveness varies depending on the treatment type and extent of the infestation, with some services offering ongoing prevention options.

Can ant extermination services prevent future ant problems? Yes, professional services often include recommendations and treatments aimed at reducing the likelihood of future ant invasions.

How do I choose a local ant extermination service? Consider reviewing local provider options, checking for experience, and requesting information about their methods and customer references to find a suitable service provider.

Ants Extermination Techniques - Local pest control providers utilize a variety of methods to effectively eliminate ant infestations, including baiting and targeted treatments.

Preventive Ant Control Strategies - Professionals can advise on sealing entry points and removing attractants to reduce the likelihood of future ant problems.

Signs of Ant Infestation - Identifying ant trails, nests, and unexplained ant activity can help determine the need for professional intervention.

Choosing a Pest Control Service - Contact local providers to find experienced ant extermination specialists who can assess and address specific infestation needs.

Ants Extermination Service

Considering Ants Extermination Service for a property in Desoto, TX? The sections above highlight common project types, practical options, and details that often shape the scope of work.

When you are ready, use the quote form to share a few details about your project. Local pros can review the basics and respond with options that match what you have in mind.

Get an Ants Extermination Service Quote

Ants Extermination Quotes

Our Trusted Partners
Cantu Pest Control